Ziele des Naturschutzprogramms:
- Naturwaldreservate und Altholzinseln auf 7 % der Aargauer Waldfläche (3‘400 ha)
- Spezialreservate auf 3 % der der Waldfläche (1‘470 ha)
- Eichenwaldreservate auf 7 % der Waldfläche (3‘400 ha)
- Aufwertung von 400 km Waldränder
Um die Ziele zu erreichen, können Waldeigentümerinnen und Waldeigentümer mit dem Kanton Verträge über Pflege- und Aufwertungsmassnahmen oder über einen Holznutzungsverzicht abschliessen. Die Leistungen zugunsten der Artenvielfalt und des Naturschutzes werden vom Kanton entsprechend abgegolten.
Ziele Föhrenwälder (lichte Wälder) allgemein
- Durch frühere Bewirtschaftung entstandene Lebensräume erhalten
- Natürliche Sukzession aufhalten, um besonders wertvolle Sukzessionsstadien zu erhalten
- Seltene Waldgesellschaften aufwerten
- Licht- und wärmeliebende Arten fördern
Die (Orchideen)- Föhrenwälder stocken meistens auf sehr flachgründigen, mergeligen und lehmigen Böden. Diese sind oft auch durch Abschürfung entstanden. Das Material wurde für die Bodenverbesserung in die benachbarten Rebberge gebracht. Zurück blieb ein Pionierstandort, der sich mit der Zeit zu einem Föhrenwald entwickelte. Die Föhrenwälder gehören zu den artenreichsten Wäldern im Kanton Aargau. Früher wurden sie oft beweidet, im Herbst wurde das Pfeifengras häufig gemäht und als Streu im Stall verwendet. Um die Föhrenwälder erhalten zu können müssen sie in strenger Handarbeit gemäht werden. Um den Standort nährstoffarm (mager) zu halten muss das Material abgeführt werden, sonst erobert Buchenwald schnell das wertvolle Gebiet zurück.
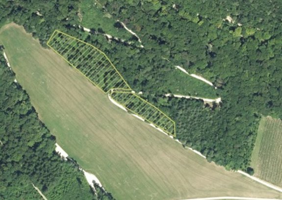
Ziele Föhrenwald Oberweiel
- Erhaltung und Förderung der auf der Waldwiese vorkommenden geschützten und gefährdeten Tier- und Pflanzenarten
- Die unbestockten Flächen im heutigen Ausmass offenhalten
Massnahmen
- Die offenen Flächen sind jährlich zu 95 Prozent zu mähen. Das anfallende Material ist abzuführen und möglichst einer sinnvollen Verwendung zuzuführen (Nährstoffeintrag möglichst klein halten)
- Die Strauchfläche ist jährlich zu 1/6 auf den Stock zu setzen. Dabei sind Dornensträucher und andere früchtetragende Sträucher zu schonen. Das Material ist zu Haufen zu schichten
- Frühester Mähtermin: 15. August



